조황관리HOME / 조황관리 / 상세정보

제목 : 23일 일요일 장신호 대구 조황입니다
등록일 : 2025-11-23



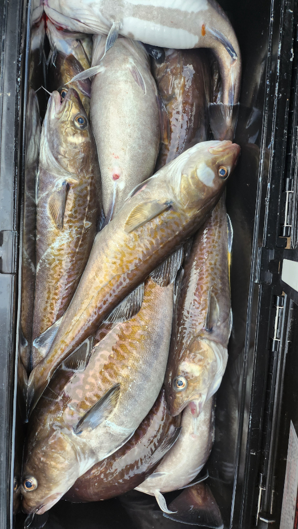
일요일 장신호 울진 왕돌초 조황입니다 
큰  피딩없이 입항시 까지 따문따문 나왔습니다 
사이즈는 골고루 올라와 주었습니다 
개인 편차가 조금 있는 출조 였습니다 
반쿨에서 만쿨까지 드실만큼 잡으시고 가셨습니다 
다녀가신 분들 모두 고생하셨습니다 

 
1000043461.jpg


1000043456.jpg


1000043458.jpg


1000043457.jpg


1000043455.jpg


1000043454.jpg


1000043453.jpg


1000043446.jpg


1000043438.jpg


1000043436.jpg


1000043421.jpg


1000043433.jpg


1000043415.jpg


1000043416.jpg
 



*** 영덕 장신호 예약 안내 ***


예약문의 : 010-3433-2812

오시는길 : 경북 영덕군 영해면 영덕대게로 2740

모바일.jpg 

Top